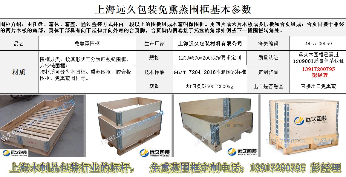
工业运输包装追求的是一个合适的包装,也就是经常说的恰好包装,所谓恰好包装就是指除了可以满足运输过程中,在环境冲击力及物流环境冲击的情况下对产品有效的保护,还需要做到包装成本、人力物力等综合成本的最好性价比,以及满足环保法规等约束条件的木箱包装 。 在环保法规约束的条件下,满足出口免熏蒸的材料有很多,如有金属材质铁箱,特点是承载力大,但价格高昂所以只适合周转,不适合普通物品出口使用,有性价比高的纸箱包装,特点是怕潮且承载力道不够,只适合一些日用品包装,因此最常用的就是就是人造板材加工的免熏蒸木箱包装。 免熏蒸围框也叫胶合板围框,和木箱一样由六大片组成,免熏蒸围框的功能和欧标标准围框木箱都是一样的,与出口熏蒸围板木箱百瑞彩票9299唯一的区别就是出口免熏蒸,在出口运输的时候,省去了许多的中间环节,节省了大量的时间,免熏蒸围框一次性使用居多,由于材质的本身特性等多方面原因,免熏蒸围框不利于回收,回收利用率不高。 所以市面上很少有流通的二手免熏蒸围框,虽然不像欧标标准围框一样有尺寸规定,但是在定制免熏蒸围框的时候,也有一些需要注意的事情,也不是说,我想做多大规格都行,其一需要考虑木围框的最佳载重性能,另一方面要考虑集装箱的尺寸,结合这几个方面综合设计免熏蒸围框的尺寸。 免熏蒸围框由四片或六片胶合板和合页组成;相邻的两块围板之间呈90°,合页固接于相邻的两片胶合板的角部,页体下部具有向下延伸并向外弯的合页脚,合页脚内侧套接于托盘的角部外侧或下一段围板转角处,免熏蒸围框的优势在于: 百瑞彩票92991、运输时可将免熏蒸围框的围板折叠为双层或四层相连接的胶合板板结构摆放在托盘上,大大地减少贮运体积,有效的降低运输成本。 百瑞彩票92992、围板包装箱的长、宽根据托盘的尺寸确定,使用层数可根据承载物的高度来决定,最大限度地提高箱体空间的利用率。 3、由于无钉化作业,显著地降低了工人在装卸过程中发生工伤的风险。 4、不存在因箱体的部分损坏而令整套免熏蒸围框报废的情况,对于同一尺寸,可实现完全互换使用。













